
Centenares de familias buscaron refugio el lunes en escuelas y centros de evacuación debido a las intensas lluvias y ráfagas de viento causadas por el supertifón Ragasa, que golpeó el norte de Filipinas y el sur de Taiwán.
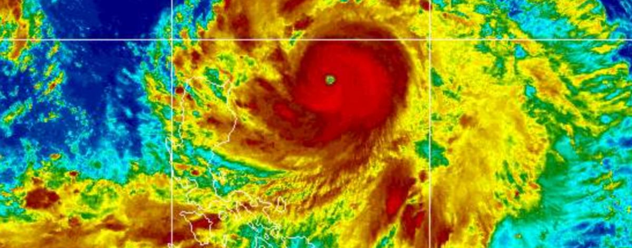
Se espera que el ciclón, que se intensifica rápidamente, toque tierra en las poco pobladas islas filipinas de Batanes o Babuyan en las primeras horas de la tarde del lunes, según informó la agencia meteorológica nacional. A las 08:00 horas locales del lunes (00:00 GMT), los vientos alcanzaban los 215 kilómetros por hora en el centro de la tormenta, con ráfagas que llegaban a los 265 km/h, de acuerdo con el servicio meteorológico nacional de Filipinas.
"Estamos experimentando fuertes vientos en el norte de Cagayan," declaró a la AFP Rueli Rapsing, jefe del servicio de emergencias de dicha provincia, quien aseguró que estaban preparados para "lo peor". "Como el supertifón atravesará Calayan, estamos muy enfocados en esa zona," agregó acerca de esta ciudad en el norte de la provincia.
Filipinas emitió órdenes de evacuación en el norte del país el domingo. Tanto oficinas como escuelas permanecerán cerradas el lunes en la región de Manila y en 29 provincias. Las autoridades locales "no deben perder tiempo en retirar a las familias de las zonas de peligro," instó en un comunicado el secretario del Interior, Jonvic Remulla.
El experto climático filipino John Grender Almario advirtió el domingo que se esperan "inundaciones y deslizamientos severos" al norte de la isla principal de Luzon, donde se encuentra ubicada la capital, Manila.
Miles de personas protestaron el domingo en la capital filipina por un escándalo de corrupción relacionado con proyectos destinados a contener las inundaciones.
En Taiwán, se llevaron a cabo evacuaciones a menor escala en áreas montañosas cercanas a Pingtung, según informó James Wu, un funcionario de los bomberos locales a la AFP. "Lo que más nos preocupa es que el daño puede ser similar al que provocó el tifón Koinu hace dos años," mencionó Wu refiriéndose a una tormenta que causó la caída de tendidos eléctricos y desprendió techos en la zona.